• Gündem
  • Alışveriş
  • Finans
  • YaCevap
  • YaÖzet
  • Seyahat
  • Video
  • Görsel
  • Ana Sayfa
  • İnsanlar
  • Sinema
  • Coğrafya
  • Kurum
  • Bilim
  • Aygıt
  • Müzik
  • Yazılım
  • Canlılar
  • İlaç
  • OlayOlay
  • Gida
  • Otomobil
  • Kimyasal Bileşim
  • Diğerleri
  • Buradasın
    • Yawiki ›
    • Olay ›

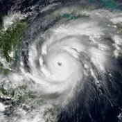
    1780 Büyük Kasırgası

    Atlantik'in En Ölümcül Kasırgası

    Yazeka

    Arama sonuçlarına dayanarak oluşturuldu

    1780 Büyük Kasırgası, Atlantik Okyanusu'nda kaydedilen en ölümcül tropikal kasırgadır. Amerikan Bağımsızlık Savaşı döneminde meydana gelen fırtına, Karayipler ve ABD'nin doğu kıyılarını vurmuş, binlerce kişinin hayatını kaybetmesine yol açmıştır.

    Barbados, Martinik ve Sint Eustatius gibi adalarda büyük yıkıma neden olmuş, İngiliz ve Fransız donanmalarına ağır kayıplar verdirmiştir. Tarihin en yıkıcı doğal afetlerinden biri olarak kabul edilir.

    Kasırga, Amerikan Devrimi'nin seyrini etkilemiş ve bölgedeki denizcilik faaliyetlerini derinden sarsmıştır. Ölü sayısının diğer Atlantik kasırgalarının toplamından fazla olduğu belirtilir.

    Daha fazla
    eokultv.com
    webtekno.com
    tr.wikipedia.org
    halkinsesikibris.com
    frmtr.com

    Yıla göre doğal afetler

    Mitch
    Kasırgası
    1923
    Kanto depremi
    1970
    Bhola Kasırgası
    Gilbert
    Kasırgası
    Irma
    Kasırgası
    1960
    Valdivia depremi
    2022
    Hunga Tonga yanardağ patlaması ve tsunamisi
    Hurricane
    Maria
    Ike
    Kasırgası
    Yanıt, yapay zeka tarafından internetteki kaynaklara dayanarak oluşturulmuştur. Hatalar içerebilir.
    Yazeka hakkındatr.wikipedia.org
    • © 2025 Yandex
    • Gizlilik politikası
    • Kullanıcı sözleşmesi
    • Hata bildir
    • Şirket hakkında
    {"5k8j0":{"state":{"logoProps":{"url":"https://yandex.com.tr"},"formProps":{"action":"https://yandex.com.tr/search","searchLabel":"Bul"},"services":{"activeItemId":"yawiki","items":[{"url":"https://yandex.com.tr/gundem/","title":"Gündem","id":"agenda"},{"url":"https://yandex.com.tr/shopping/","title":"Alışveriş","id":"shopping"},{"url":"https://yandex.com.tr/finance/","title":"Finans","id":"finance"},{"url":"https://yandex.com.tr/yacevap/","title":"YaCevap","id":"answers"},{"url":"https://yandex.com.tr/yaozet/","title":"YaÖzet","id":"summary"},{"url":"https://yandex.com.tr/travel/","title":"Seyahat","id":"travel"},{"url":"https://yandex.com.tr/video/search?text=popüler+videolar","title":"Video","id":"video"},{"url":"https://yandex.com.tr/gorsel/","title":"Görsel","id":"images"}]},"userProps":{"loggedIn":false,"ariaLabel":"Menü","plus":false,"birthdayHat":false,"child":false,"dialogProps":{"host":"yandex.com.tr","lang":"tr","project":"yawiki","queryParams":{"exp_flags":"skin","preset":"oceania","utm_source":"portal-yawiki"},"retpath":"https%3A%2F%2Fyandex.com.tr%2Fyawiki%2Fevent%2F1780_B%25C3%25BCy%25C3%25BCk_Kas%25C4%25B1rgas%25C4%25B1%2F0oCgpydXcxNjczOTU4GAR5IMJ9%3Ftext%3Dyawiki%26ncrnd%3D3925","tld":"com.tr","platform":"desktop"},"className":"PortalHeader-User"},"suggestProps":{"selectors":{"form":".HeaderForm","input":".HeaderForm-Input","submit":".HeaderForm-Submit","clear":".HeaderForm-Clear","layout":".HeaderForm-InputWrapper"},"suggestUrl":"https://yandex.com.tr/suggest/suggest-ya.cgi?show_experiment=222&show_experiment=224","deleteUrl":"https://yandex.com.tr/suggest-delete-text?srv=web&text_to_delete=","suggestPlaceholder":"Yapay zeka ile bul","platform":"desktop","hideKeyboardOnScroll":false,"additionalFormClasses":["mini-suggest_theme_tile","mini-suggest_overlay_tile","mini-suggest_expanding_yes","mini-suggest_prevent-empty_yes","mini-suggest_type-icon_yes","mini-suggest_personal_yes","mini-suggest_type-icon_yes","mini-suggest_rich_yes","mini-suggest_overlay_dark","mini-suggest_large_yes","mini-suggest_copy-fact_yes","mini-suggest_clipboard_yes","mini-suggest_turboapp_yes","mini-suggest_expanding_yes","mini-suggest_affix_yes","mini-suggest_carousel_yes","mini-suggest_traffic_yes","mini-suggest_re-request_yes","mini-suggest_source_yes","mini-suggest_favicon_yes","mini-suggest_more","mini-suggest_long-fact_yes","mini-suggest_hide-keyboard_yes","mini-suggest_clear-on-submit_yes","mini-suggest_focus-on-change_yes","mini-suggest_short-fact_yes","mini-suggest_app_yes","mini-suggest_grouping_yes","mini-suggest_entity-suggest_yes","mini-suggest_redesigned-navs_yes","mini-suggest_title-multiline_yes","mini-suggest_type-icon-wrapped_yes","mini-suggest_fulltext-highlight_yes","mini-suggest_fulltext-insert_yes","mini-suggest_lines_multi"],"counter":{"service":"yawiki_com_tr_desktop","url":"//yandex.ru/clck/jclck","timeout":300,"params":{"dtype":"stred","pid":"0","cid":"2873"}},"noSubmit":false,"formAction":"https://yandex.com.tr/search","tld":"com.tr","suggestParams":{"srv":"serp_com_tr_desktop","wiz":"TrWth","yu":"6195565691762356268","lr":20815,"uil":"tr","fact":1,"v":4,"use_verified":1,"safeclick":1,"skip_clickdaemon_host":1,"rich_nav":1,"verified_nav":1,"rich_phone":1,"use_favicon":1,"nav_favicon":1,"mt_wizard":1,"history":1,"nav_text":1,"maybe_ads":1,"icon":1,"hl":1,"n":10,"portal":1,"platform":"desktop","mob":0,"extend_fw":1,"suggest_entity_desktop":"1","entity_enrichment":"1","entity_max_count":"5"},"disableWebSuggest":false},"context":{"query":"","reqid":"1762356369229165-6758493758911154471-balancer-l7leveler-kubr-yp-sas-111-BAL","lr":"20815","aliceDeeplink":"{\"text\":\"yawiki\"}"},"baobab":{"parentNode":{"context":{"genInfo":{"prefix":"5k8jw01-0-1"},"ui":"desktop","service":"yawiki","fast":{"name":"entitysearch","subtype":"header"}}}}},"type":"entitysearch","subtype":"header"},"5k8j1":{"state":{"links":[{"id":"main","title":"Ana Sayfa","url":"https://yandex.com.tr/yawiki","target":"_self"},{"id":"people","title":"İnsanlar","url":"https://yandex.com.tr/yawiki/people","target":"_self"},{"id":"film","title":"Sinema","url":"https://yandex.com.tr/yawiki/film","target":"_self"},{"id":"geography","title":"Coğrafya","url":"https://yandex.com.tr/yawiki/geography","target":"_self"},{"id":"organization","title":"Kurum","url":"https://yandex.com.tr/yawiki/organization","target":"_self"},{"id":"science","title":"Bilim","url":"https://yandex.com.tr/yawiki/science","target":"_self"},{"id":"device","title":"Aygıt","url":"https://yandex.com.tr/yawiki/device","target":"_self"},{"id":"music","title":"Müzik","url":"https://yandex.com.tr/yawiki/music","target":"_self"},{"id":"software","title":"Yazılım","url":"https://yandex.com.tr/yawiki/software","target":"_self"},{"id":"organism","title":"Canlılar","url":"https://yandex.com.tr/yawiki/organism","target":"_self"},{"id":"medicine","title":"İlaç","url":"https://yandex.com.tr/yawiki/medicine","target":"_self"},{"id":"event","title":"Olay","url":"https://yandex.com.tr/yawiki/event","target":"_self"},{"id":"food","title":"Gida","url":"https://yandex.com.tr/yawiki/food","target":"_self"},{"id":"auto","title":"Otomobil","url":"https://yandex.com.tr/yawiki/auto","target":"_self"},{"id":"chemical_compound","title":"Kimyasal Bileşim","url":"https://yandex.com.tr/yawiki/chemical_compound","target":"_self"},{"id":"others","title":"Diğerleri","url":"https://yandex.com.tr/yawiki/others","target":"_self"}],"activeLinkId":"event","title":"Kategoriler","baobab":{"parentNode":{"context":{"genInfo":{"prefix":"5k8jw02-0-1"},"ui":"desktop","service":"yawiki","fast":{"name":"entitysearch","subtype":"header-categories"}}}}},"type":"entitysearch","subtype":"header-categories"},"5k8j2":{"state":{"className":"YawikiEntity-Breadcrumbs","items":[{"name":"Yawiki","url":"//yandex.com.tr/yawiki"},{"name":"Olay","url":"//yandex.com.tr/yawiki/event"}],"baobab":{"parentNode":{"context":{"genInfo":{"prefix":"5k8jw03-0-1"},"ui":"desktop","service":"yawiki","fast":{"name":"entitysearch","subtype":"object"}}}}},"type":"entitysearch","subtype":"object"},"5k8j3":{"state":{"extralinksItems":[{"variant":"reportFeedback","reportFeedback":{"feature":"YaWiki","title":"Bu yanıtta yanlış olan ne?","checkBoxLabels":[{"value":"Görüntüleme hataları"},{"value":"Maddi hatalar var"},{"value":"Bilgi güncel değil"},{"value":"Yanıtta kullanılan kaynaklar güvenilir değil"},{"value":"Diğerleri"}]}}],"baobab":{"parentNode":{"context":{"genInfo":{"prefix":"5k8jw03-0-2"},"ui":"desktop","service":"yawiki","fast":{"name":"entitysearch","subtype":"object"}}}}},"type":"entitysearch","subtype":"object"},"5k8j4":{"state":{"title":{"search_request":"1780 Büyük Kasırgası yıla göre doğal afetler","entref":"0oEhNydXcxNjczOTU4OmN1c3RvbTowGAR6GlnEsWxhIGfDtnJlIGRvxJ9hbCBhZmV0bGVyE85QNQ","text":"Yıla göre doğal afetler","url":"//yandex.com.tr/search?text=1780%20B%C3%BCy%C3%BCk%20Kas%C4%B1rgas%C4%B1%20y%C4%B1la%20g%C3%B6re%20do%C4%9Fal%20afetler&noreask=1&ento=0oEhNydXcxNjczOTU4OmN1c3RvbTowGAR6GlnEsWxhIGfDtnJlIGRvxJ9hbCBhZmV0bGVyE85QNQ"},"logAttrs":{"subtype":"upper"},"items":[{"thumb":{"width":88,"height":88,"image":"//avatars.mds.yandex.net/get-entity_search/5488405/1179669667/S88x88Smart_2x","placeholder":"#505657","hover":{"type":"fade"}},"url":"/yawiki/event/mitch_kas%C4%B1rgas%C4%B1/0oCgpydXcxNjc3NTgzGARdotxN","logNodeAttrs":{"externalId":{"entity":"entity-collection","id":"ruw1677583"},"index":0},"title":{"text":"Mitch Kasırgası","lines":2,"maxLettersPerLine":9},"tooltipText":"Mitch Kasırgası"},{"thumb":{"width":88,"height":88,"image":"//avatars.mds.yandex.net/get-entity_search/5098055/1166714013/S88x88Smart_2x","placeholder":"#9F9F9F","hover":{"type":"fade"}},"url":"/yawiki/event/1923_kanto_depremi/0oCgpydXcxNTY3MDQwGAQc2Dx_","logNodeAttrs":{"externalId":{"entity":"entity-collection","id":"ruw1567040"},"index":1},"title":{"text":"1923 Kanto depremi","lines":2,"maxLettersPerLine":9},"tooltipText":"1923 Kanto depremi"},{"thumb":{"width":88,"height":88,"image":"//avatars.mds.yandex.net/get-entity_search/5485905/1180574933/S88x88Smart_2x","placeholder":"#858585","hover":{"type":"fade"}},"url":"/yawiki/event/1970_bhola_kas%C4%B1rgas%C4%B1/0oCgpydXczMzE0NDM0GATBN1B_","logNodeAttrs":{"externalId":{"entity":"entity-collection","id":"ruw3314434"},"index":2},"title":{"text":"1970 Bhola Kasırgası","lines":2,"maxLettersPerLine":9},"tooltipText":"1970 Bhola Kasırgası"},{"thumb":{"width":88,"height":88,"image":"//avatars.mds.yandex.net/get-entity_search/1976572/421338035/S88x88Smart_2x","placeholder":"#4C4E51","hover":{"type":"fade"}},"url":"/yawiki/event/gilbert_kas%C4%B1rgas%C4%B1/0oCgpydXczNTQ0NDA5GAS_wb-V","logNodeAttrs":{"externalId":{"entity":"entity-collection","id":"ruw3544409"},"index":3},"title":{"text":"Gilbert Kasırgası","lines":2,"maxLettersPerLine":9},"tooltipText":"Gilbert Kasırgası"},{"thumb":{"width":88,"height":88,"image":"//avatars.mds.yandex.net/get-entity_search/2305551/1180609219/S88x88Smart_2x","placeholder":"#171717","hover":{"type":"fade"}},"url":"/yawiki/event/irma_kas%C4%B1rgas%C4%B1/0oCgpydXc3MDkxMTIzGASnCx5i","logNodeAttrs":{"externalId":{"entity":"entity-collection","id":"ruw7091123"},"index":4},"title":{"text":"Irma Kasırgası","lines":2,"maxLettersPerLine":9},"tooltipText":"Irma Kasırgası"},{"thumb":{"width":88,"height":88,"image":"//avatars.mds.yandex.net/get-entity_search/761788/1136791072/S88x88Smart_2x","placeholder":"#9A9A9A","hover":{"type":"fade"}},"url":"/yawiki/event/1960_valdivia_depremi/0oCglydXczMTcyOTcYBFT34Fs","logNodeAttrs":{"externalId":{"entity":"entity-collection","id":"ruw317297"},"index":5},"title":{"text":"1960 Valdivia depremi","lines":2,"maxLettersPerLine":9},"tooltipText":"1960 Valdivia depremi"},{"thumb":{"width":88,"height":88,"image":"//avatars.mds.yandex.net/get-entity_search/2114271/1138021924/S88x88Smart_2x","placeholder":"#ADAEAB","hover":{"type":"fade"}},"url":"/yawiki/event/2022_hunga_tonga_yanarda%C4%9F_patlamas%C4%B1_ve_tsunamisi/0oCgpydXc5MTY3MzcwGATFxAJ-","logNodeAttrs":{"externalId":{"entity":"entity-collection","id":"ruw9167370"},"index":6},"title":{"text":"2022 Hunga Tonga yanardağ patlaması ve tsunamisi","lines":2,"maxLettersPerLine":9},"tooltipText":"2022 Hunga Tonga yanardağ patlaması ve tsunamisi"},{"thumb":{"width":88,"height":88,"image":"//avatars.mds.yandex.net/get-entity_search/1922058/751739787/S88x88Smart_2x","placeholder":"#525A5E","hover":{"type":"fade"}},"url":"/yawiki/event/hurricane_maria/0oCgpydXc3MTA4MjI2GARGj76v","logNodeAttrs":{"externalId":{"entity":"entity-collection","id":"ruw7108226"},"index":7},"title":{"text":"Hurricane Maria","lines":2,"maxLettersPerLine":9},"tooltipText":"Hurricane Maria"},{"thumb":{"width":88,"height":88,"image":"//avatars.mds.yandex.net/get-entity_search/10767883/1183959460/S88x88Smart_2x","placeholder":"#313A4A","hover":{"type":"fade"}},"url":"/yawiki/event/ike_kas%C4%B1rgas%C4%B1/0oCgpydXcxMzc2NjcwGATu_caE","logNodeAttrs":{"externalId":{"entity":"entity-collection","id":"ruw1376670"},"index":8},"title":{"text":"Ike Kasırgası","lines":2,"maxLettersPerLine":9},"tooltipText":"Ike Kasırgası"}],"list":{"scroller":{"arrowsAlignHeight":88},"type":"upper"},"lazyLimit":6,"wrapInItem":false,"baobab":{"parentNode":{"context":{"genInfo":{"prefix":"5k8jw03-0-5"},"ui":"desktop","service":"yawiki","fast":{"name":"entitysearch","subtype":"object"}}}}},"type":"entitysearch","subtype":"object"},"5k8j5":{"state":{"generalLinks":[{"id":"privacy-policy","text":"Gizlilik politikası","url":"https://yandex.com.tr/legal/privacy_policy/"},{"id":"terms-of-service","text":"Kullanıcı sözleşmesi","url":"https://yandex.com.tr/legal/tos/"},{"id":"report-error","text":"Hata bildir","url":"https://forms.yandex.com.tr/surveys/13748122.01a6645a1ef15703c9b82a7b6c521932ddc0e3f7/"},{"id":"about-company","text":"Şirket hakkında","url":"https://yandex.com.tr/project/portal/contacts/"}],"copyright":{"url":"https://yandex.com.tr","currentYear":2025},"socialLinks":[{"url":"https://www.tiktok.com/@yandex.turkiye","type":"tiktok","title":"TikTok"},{"url":"https://www.youtube.com/@YandexTurkiye","type":"youtube","title":"Youtube"},{"url":"https://www.facebook.com/YandexComTr","type":"facebook","title":"Facebook"},{"url":"https://www.instagram.com/yandex__turkiye/","type":"instagram","title":"Instagram"},{"url":"https://x.com/yndxturkiye","type":"x","title":"X"}],"categoriesLink":[],"baobab":{"parentNode":{"context":{"genInfo":{"prefix":"5k8jw04-0-1"},"ui":"desktop","service":"yawiki","fast":{"name":"portal","subtype":"footer"}}}}},"type":"portal","subtype":"footer"}}